My ride was waiting for me when I exited immigration, and we were off to dive! Volker, one of the owners of Dive Timor was there to pick me up, and took me straight back to their dive shop / guesthouse / restaurant. I was staying at their guesthouse, which consisted of around ten different rooms/apartments/etc. It seemed the convenient option given my limited time, plus would help me to maximize diving time. In addition, one of the most popular restaurants in town was listed on TripAdvisor as being above their apartments, so seemed a win win.
Got to their location, and quick lodging check-in. They weren’t too full, so I ended up on a two bedroom apartment. Unfortunately, the air conditioner in the common area didn’t work, but the two in the bedrooms were quite strong so kept the whole place reasonably cool. For the price, it was a fantastic choice!
After about 30 minutes waiting for everyone to arrive, we packed up the scuba gear in the van and headed to the first dive site, Dili Rock West.

I hadn’t been diving since St Kitts back in July, but really wasn’t nervous. I had my gear, etc, and the only nervousness was that this would be my first short dive. I’d never gone into the water from the shore before. Plus, being on the other side of the world was kinda cool. I guess after diving in Seychelles it shouldn’t have been a huge deal, but hey.
Plan was to walk about 10-20 meters into the water, and then try and get the fins on and head further out. Unfortunately, the waves kept crashing down on us, and I panicked a slight bit. Eventually managed to get things sorted well enough that we could descend, and once underwater things were zen and peaceful. Unfortunately, I’d wasted quite a bit of air at this point. Fortunately, I’d decided not to take my camera on the first dive, so I could really just focus on getting used to the water again and enjoying the coral.
I’d used a full 1/3 of my air at this point, and we were only 6 minutes in. I was kind of nervous I was going to be the reason we had to come up early (especially since I often am the first one out of air) but once I calmed down I started using the rest of it really slowly. There were only four of us diving, and two divemasters. Two beginners with one, and me and a guy doing his advanced certification with the other.
It was a good 45 minute dive, and I was excited for the second. We walked about 1/2 mile down the beach to “Dili Rock East” and got ready for the second dive. This one was much easier, because I knew what I was doing a bit better and how to fight the waves when getting into deeper water.
Almost right after descent was a cool lionfish hanging out:

The reef dropped down to about 60 feet pretty quickly, and it was a cool view:

Cool coral:

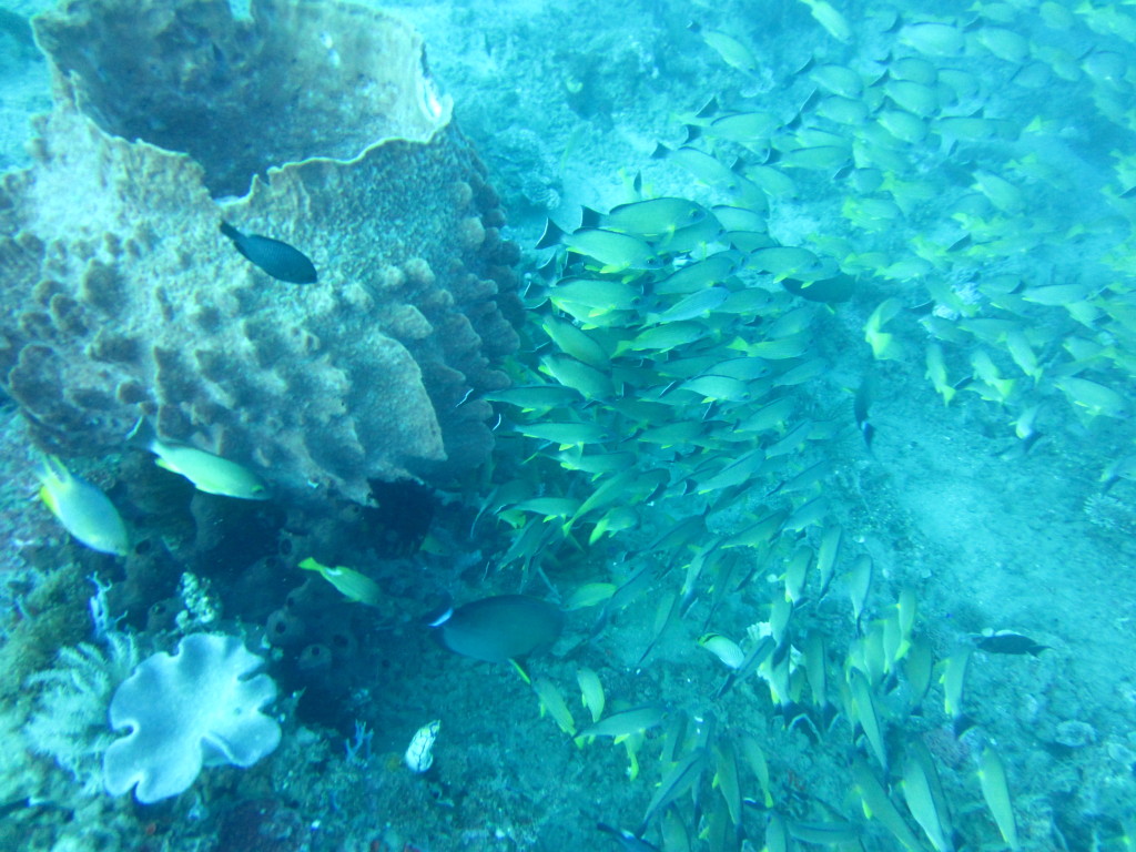
Schooling fish:

Cool fish:



School of catfish:


Some more cool sights:



Tiny silver and white nudiebranch just hanging out in the sand:

Aloha!

After we got up from diving there was a gaggle of children hanging around being curious. They wanted to see and touch the gear, and were just generally interested in us. As soon as I got the camera out and started to show them the fish, they got super excited and wanted to pose for a picture. I love this shot:

After a couple of successful dives, we headed back to the dive shop for a celebratory beer. Two of the other divers were from Washington DC as well, and we decided to grab an early dinner before passing out.
I was still seriously dealing with jetlag, and woke up around 5:30 am the next day. At least I was rewarded with a great sunset right outside the apartments:

Decided to try their restaurant, and had a delicious nasi goreng for breakfast;

Next, it was time to do the little bit of “tourist stuff” there was to do in Dili before it got too hot. Negotiated a taxi to the giant Cristo Rei of Dili statue on a hill about 15-20 minutes out of town. The hike was as series of about 400-500 steps up the side of a small hill, past the stations of the cross:

Just over halfway up there was a little stage / theatre:

View from the top looking back towards Dili:


Let there be light!

Hiking back down after chilling for about 30 minutes at the top:

Sign at the entrance to the park:

Got back to the hotel, and Daniel had just arrived from Bali and met me and a couple of the divers from the day before for lunch. Mmmm satay chicken pizza:

Did a little bit of walking after checking out while waiting for my flight, and saw the local dili mosque which was right behind the hotel (and had woken me up at around 5a with the call to prayer):

At this point it was after 2pm, and time to head back to the airport for my onwards flight to Darwin, Australia!
Great way to mark a new country — Diving in Dili, should have been the headline. You have a lot of travel ahead. Good luck!
Jason, it was great meeting you in Dili! Love the blog, we’ll probably cross paths again 🙂
Look forward to it Jennifer! I will get you those pics when I have a faster internet connection!
That looks like the best pizza ever 🙂 Very impressed by the day … thank you for sharing.
It was rather tasty…definitely not the best ever, but it sure hit the spot!
Did you take malaria pills for the short stay?
I did not.